Tilia henryana 'Arnold's Select' tilleul
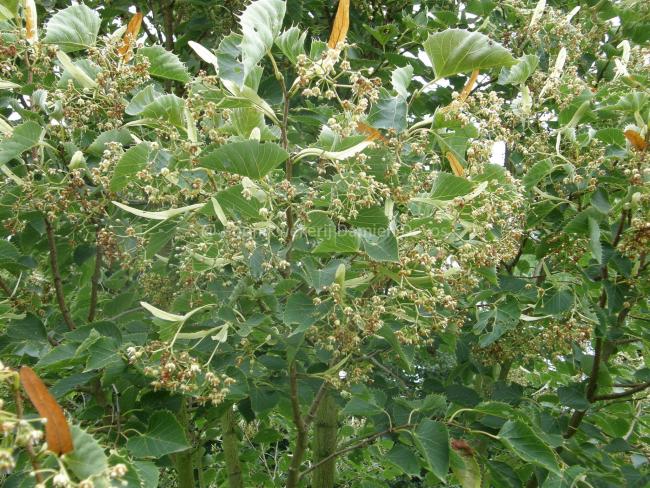
Cette espèce est également appelée tilleul ridé en raison de ses feuilles munies de grandes dents en forme d'aiguille. C'est une espèce à croissance lente qui préfère un emplacement en plein soleil. La floraison se caractérise par des touffes tombantes de fleurs blanc jaunâtre qui répandent un parfum agréable et attirent de nombreuses abeilles. Les feuilles adultes sont vert foncé, mais en automne, l'arbre se caractérise par des feuilles d'un jaune doré chaud.
|
20-40/+ feathered
|
C2
|
|
40-60/+ feathered T
|
C2
|
|
60-80 T feathered
|
C2
|
|
60-80 T feathered
|
C5
|
|
80-100
|
C5
|
|
125-150 T feathered
|
C5
|
|
100-125 bush
|
C7.5
|
Caractéristiques
Catégorie
Hauteur
4.00-5.00 m
Couleur d'hiver
couleur automnale remarquable
jaune
rouge
Abeilles
Attire les abeilles
Floraison
septembre
Couleur
jaune
blanc