Tilia henryana 'Arnold's Select' linde
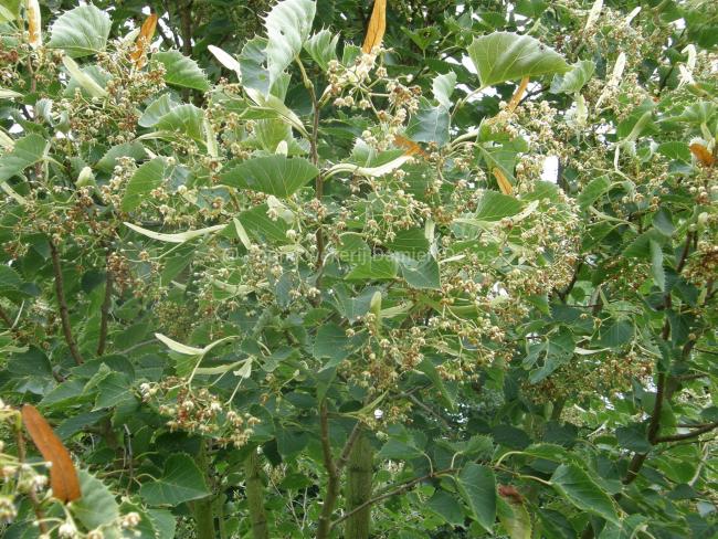
Deze soort wordt ook wel gewimperde linde genoemd door zijn bladeren met grote, naaldvormige tanden. Het is een traaggroeiende soort dat een plaatsje in de volle zon verkiest. De bloei wordt gekenmerkt door hangende tuiltjes van geelwitte bloemen die een heerlijke geur verspreiden en daarbij erg veel bijen aantrekken. De volwassen bladeren zijn donkergroen maar in de herfst wordt de boom gekenmerkt door warme goudgele bladeren.
|
20-40/+ feathered
|
C2
|
|
40-60/+ feathered T
|
C2
|
|
60-80 T feathered
|
C2
|
|
60-80 T feathered
|
C5
|
|
80-100
|
C5
|
|
125-150 T feathered
|
C5
|
|
100-125 bush
|
C7.5
|
Eigenschappen
Categorie
Hoogte
4.00 m-5.00 m
Herfstkleur
mooie herfstkleur
geel
rood
Bijenplant
Door bijen geliefd
Bloeitijd
september
Bloeikleur/ Kenmerk
geel
wit